
Foto: Adobe Stock
Teknologi.id – Badan Meteorologi, Klimatologi, dan Geofisika (BMKG) secara resmi mengeluarkan peringatan dini terkait kondisi cuaca menjelang perayaan malam pergantian tahun 2026. Dalam laporan terbaru yang dirilis pada Selasa (30/12), BMKG memprediksi bahwa hujan dengan intensitas lebat masih akan mengguyur sejumlah wilayah di Indonesia hingga hari pertama tahun baru. Kondisi ini dipicu oleh perpaduan berbagai fenomena dinamika atmosfer, baik dalam skala regional maupun global, yang mendukung pertumbuhan awan hujan secara masif di sebagian besar wilayah nusantara.
Kepala BMKG, Teuku Faisal Fathani, menekankan pentingnya kewaspadaan masyarakat di tengah euforia perayaan malam pergantian tahun. Meskipun situasi cuaca secara umum masih dalam pantauan, sifat cuaca yang dinamis pada periode ini menuntut kesiapsiagaan tinggi terhadap potensi dampak hidrometeorologi. Perubahan cuaca yang terjadi bisa berlangsung secara mendadak, sehingga perencanaan aktivitas luar ruang, perjalanan wisata, hingga kegiatan ibadah perlu mempertimbangkan pembaruan informasi cuaca secara real-time.
Fenomena La Niña Lemah dan Pengaruh Siklon Tropis
Menurut penjelasan Deputi Bidang Meteorologi BMKG, Guswanto, kondisi iklim di penghujung tahun 2025 ini dipengaruhi oleh keberadaan fenomena La Niña lemah yang muncul bersamaan dengan fenomena Indian Ocean Dipole (IOD) negatif. Kombinasi kedua fenomena ini menyebabkan peningkatan massa udara basah di wilayah Indonesia. Hal ini diperkuat lagi oleh suhu muka laut di perairan Indonesia yang relatif hangat, yang menjadi sumber penguapan air yang signifikan bagi pembentukan awan hujan.
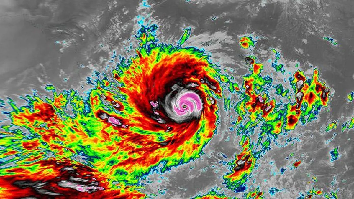
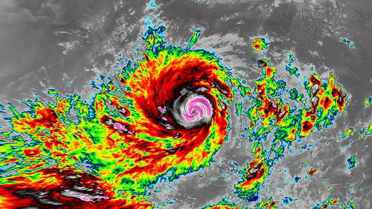
Selain faktor iklim skala luas, BMKG juga mengidentifikasi adanya gangguan atmosfer dari siklon tropis yang aktif di sekitar wilayah Indonesia. Terdapat Siklon Tropis Grant yang terpantau di Samudra Hindia, tepatnya di sebelah selatan Bengkulu, serta Siklon Hayley yang berada di selatan Nusa Tenggara Barat (NTB). Meskipun sistem siklon ini dilaporkan tidak menghantam daratan secara langsung, keberadaannya memicu pola perlambatan dan pertemuan angin (konvergensi). Pola angin inilah yang pada akhirnya mengonsentrasikan uap air dan meningkatkan intensitas hujan di berbagai provinsi yang terdampak.

Foto: NASA
Daftar Wilayah Berstatus Siaga Hujan Lebat
Berdasarkan analisis data meteorologi untuk periode 29 Desember 2025 hingga 1 Januari 2026, BMKG menetapkan Status Siaga untuk potensi hujan lebat hingga sangat lebat di empat wilayah utama, yaitu:
- Aceh
- Sumatera Utara
- Bengkulu
- Nusa Tenggara Barat (NTB)
Selain hujan lebat, masyarakat di wilayah ini juga diminta mewaspadai dampak turunannya seperti banjir dan tanah longsor. Wilayah-wilayah tersebut memiliki tingkat kerentanan yang lebih tinggi karena posisi geografisnya yang berdekatan dengan pusat aktivitas siklon atau jalur aliran massa udara basah yang sangat aktif.
Baca juga: Jangan Sampai Rusak! Berikut Tips Jaga Gadget di Musim Hujan
Sebaran Hujan Sedang dan Potensi Angin Kencang
Di luar wilayah yang berstatus siaga, BMKG memprakirakan sebagian besar wilayah Indonesia secara umum akan mengalami kondisi berawan hingga hujan ringan. Namun, terdapat tren peningkatan hujan dengan intensitas sedang di wilayah-wilayah berikut:
- Sumatera: Sumatera Barat, Riau, Kepulauan Riau, Jambi, Sumatera Selatan, Lampung, dan Kepulauan Bangka Belitung.
- Jawa & Bali: Banten, DI Yogyakarta, Jawa Timur, dan Bali.
- Kalimantan: Kalimantan Barat, Kalimantan Timur, dan Kalimantan Utara.
- Wilayah Timur: Sulawesi, Maluku, serta sebagian besar wilayah Papua.
Selain ancaman hujan, fenomena angin kencang juga menjadi sorotan BMKG. Peningkatan gradien tekanan udara di beberapa wilayah berpotensi memicu angin kencang yang dapat membahayakan aktivitas pelayaran maupun kegiatan di darat. Wilayah yang masuk dalam radar potensi angin kencang meliputi Riau, Kepulauan Riau, Bengkulu, Jambi, Jawa Timur, Bali, NTB, NTT, Maluku, hingga Papua Selatan.
Baca juga: Hujan Terus-menerus, Ini Tips dan Pertolongan Pertama Saat Mobil Kebanjiran
Peran Gelombang Atmosfer Intra-Musiman (MJO, Kelvin, dan Rossby)
Faktor teknis lain yang diungkapkan BMKG adalah aktifnya gelombang atmosfer intra-musiman. Fenomena Madden Julian Oscillation (MJO), bersama dengan gelombang Kelvin dan gelombang Rossby Ekuator, terpantau aktif melintasi wilayah Indonesia pada periode ini. Gelombang-gelombang atmosfer ini bekerja dengan cara meningkatkan labilitas udara, sehingga proses pengangkatan uap air menjadi awan hujan terjadi lebih intens. Hal inilah yang menjelaskan mengapa hujan tetap terjadi meskipun Monsun Asia telah dominan; karena didorong oleh gelombang atmosfer yang membawa energi tambahan untuk pembentukan badai guntur atau hujan berkelanjutan.
Layanan Digital Weather for Traffic (DWT)
untuk Pemudik Menyadari tingginya mobilitas masyarakat selama libur Natal dan Tahun Baru (Nataru), BMKG menyediakan infrastruktur informasi khusus berupa Digital Weather for Traffic (DWT). Layanan ini dirancang terintegrasi di seluruh jalur transportasi utama di Indonesia. Melalui DWT, pemudik atau wisatawan dapat memantau kondisi cuaca di sepanjang jalur perjalanan secara real-time.
Masyarakat diimbau untuk aktif memanfaatkan aplikasi InfoBMKG atau situs resmi mereka sebelum memulai perjalanan darat, laut, maupun udara. Informasi yang disediakan mencakup peringatan dini cuaca ekstrem yang diperbarui secara berkala, sehingga risiko kecelakaan akibat faktor cuaca dapat diminimalisir. BMKG menegaskan bahwa prospek iklim ini bersifat umum dan dapat berubah sewaktu-waktu mengikuti perkembangan dinamika atmosfer yang sangat cepat.
Imbauan Mitigasi Bencana Hidrometeorologi
BMKG menutup laporannya dengan imbauan tegas kepada seluruh pemangku kepentingan dan masyarakat untuk melakukan langkah mitigasi. Potensi bencana hidrometeorologi seperti banjir, tanah longsor, dan angin kencang bukan lagi sekadar kemungkinan, melainkan ancaman nyata di wilayah-wilayah yang sudah disebutkan. Masyarakat diharapkan tetap tenang namun tidak abai terhadap tanda-tanda alam, seperti hujan dengan durasi lama atau peningkatan debit air sungai secara mendadak.
Pemerintah daerah diharapkan segera melakukan pengecekan terhadap infrastruktur drainase dan kekuatan baliho atau pohon besar di area publik guna mencegah korban jiwa akibat angin kencang. Dengan kewaspadaan yang ditingkatkan, perayaan pergantian tahun 2026 diharapkan dapat tetap berlangsung dengan aman meskipun harus berhadapan dengan tantangan cuaca yang cukup ekstrem di penghujung tahun 2025 ini.
Baca berita dan artikel lainnya di Google News

Tinggalkan Komentar